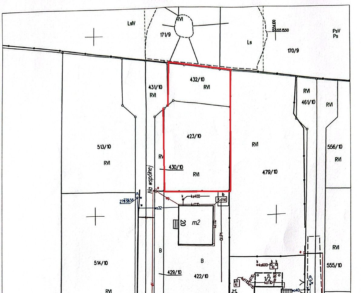
Działka pod lasem

Działka (Budowlana) na sprzedaż
140 000,00 PLN , Pow. 609 m2
Drukuj ofertÄ™
Drukuj ofertÄ™
Typ nieruchomości:
Działka
Powierzchnia:
609 m2
Typ transakcji:
sprzedaż
Lokalizacja:
Orzesze Woszczyce , Na Wspólnej
Numer oferty:
GP122888
Cena za m2:
229,89 PLN
Na skraju parku krajobrazowego, jedyna taka działka na końcu drogi pod lasem.
Wyobraź sobie cichy poranek, szum drzew, sarny pod oknem i las pełen grzybów.

Woszczyce ul. Na wspólnej - na końcu drogi za ostatnim domem tuż pod lasem.
Działka budowlana w kształcie prostokąta o pow. 609 m2 o przeznaczeniu w planie zabudowa mieszkaniowa jednorodzinna.
Media: woda, prąd, kanalizacja własna
Cena 140 000 zł
 

Nieprawidłowy adres E-mail